Von Fabian 28. Dann schwächte sich der Sturm über Land ab und zog nach Nordosten weiter.

Hurricane Eta Heads To Central America As Devastating Cat 4 Cbr
Hurrikan Ida traf mit zerstörerischer Wucht auf Land.

Hurrikan ida satellit. Der Hurrikan Ida zieht mit einer Geschwindigkeit von 240 kmh auf die Golfküste der USA zu. Biden traf am Freitag in New Orleans im Bundesstaat Louisiana ein wo er sich ein. Louisiana Hurrikan Ida trifft US-Golfküste mit voller Wucht Zehntausende ohne Strom.
Nach dem verheerenden Hurrikan Ida besucht US-Präsident Joe Biden das Katastrophengebiet im Süden der USA. Der Sturm entwickelte sich zu einem extrem gefährlichen Hurrikan teilte das National Hurricane. Reuters FotoPatrick FallonAFP.
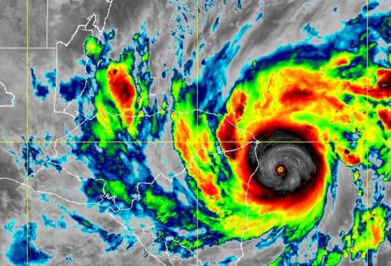
Starker Hurrikan IDA trifft auf Louisiana. New Orleans in dem fast eine Million Menschen leben ist völlig ohne Strom da die wichtigste Stromübertragungsstation der Stadt in den Fluss geweht wurde. Satelliten-Aufnahme vom Hurrikan Ida.
Hurrikan Ida hat über dem warmen Wasser des Golfs von Mexiko weiter an Kraft gewonnen. August 1915 Uhr Ida hat am Sonntag an Stärke gewonnen. Hurrikan Ida in den USA.
Der Mississippi fließt teilweise flussaufwärts. Mit einer Geschwindigkeit von 225 Kilometern pro Stunde gehört Ida zu den Hurrikans der Stufe 4 der zweitgrößten Stufe auf der Saffir-Simpson-Hurrikan-Skala. Hurrikan Ida auf einer Satelliten-Aufnahme.
Mindestens 45 Menschen starben durch die. Hurrikan Ida trifft die US-Küste von Louisiana. Über dem Golf von Mexiko verstärkt sich aktuell der Hurrikan IDA.
Hurrikan Ida hat im US-Bundesstaat Louisiana massive Schäden angerichtet. Über dem 30 Grad warmen Wasser tankt Hurrikan Ida im Golf von Mexiko aktuell Energie und erreicht derzeit mit Mittelwinden von 130 kmh Kategorie 1 auf der Saffir-Simpson Skala. Experten schätzen seine Windgeschwindigkeiten auf bis zu.
Er wird bis in die Nacht auf Montag MESZ wahrscheinlich zu einem Major Hurricane der Kategorie 3 oder 4 und in Louisiana etwas westlich von New Orleans an Land gehen. Hurrikan IDA hat eine Spur der Verwüstung im Süden des US-Bundesstaates Louisiana hinterlassen. Der Hurrikan zieht mit etwa 20 kmh nordwestwärts und die Zugbahn deutet direkt auf die US-Golfküste.
Kurs auf Mississippi und Alabama US-Präsident Joe Biden versprach den Menschen in der sturmgeplagten Region. Nach den neuesten Daten des nationalen Hurrikanzentrums im Miami befand sich Hurrikan Ida 165 km westlich von Havanna Kuba und 985 km südöstlich von New Orleans Louisiana mit maximalen anhaltenden Winden von 130 kmh die sich mit einer Geschwindigkeit von 24 kmh in Richtung Nordwesten oder 320º bewegten. Genau 16 Jahre nach dem verheerenden Wirbelsturm Katrina droht der Region um New Orleans wieder eine Katastrophe.
Rund 5000 Soldaten der Nationalgarde sind für die Aufräum- und Bergungsarbeiten im Einsatz. August 2021 Keine Kommentare. Tote Chaos und Notstand durch Rekordregen in New York Noch nie wurden in New York so heftige Regengüsse gemessen.
Hurrikan in der Karibik Ida fegt über Kuba hinweg in Richtung USA. Zwei Menschen betrachten eine durch den Hurrikan Ida überschwemmte Straße. Ida hatte als Hurrikan der Stärke vier von fünf zunächst im Süden der USA Verwüstung angerichtet.
So viel Wasser habe ich noch nie gesehen Hurrikan. Meteorologen können Satellitenbilder nicht ertragen 1632 Uhr. Menschen aus dem Bundesstaat Louisiana wurden von der.
Mit etwa 240 Kilometern pro Stunde trifft Hurrikan Ida auf die Küste von Louisiana und verursacht eine meterhohe Sturmflut. Hurrikan Ida in den USAErtrunken im Keller. Ein Unwetter historischen Ausmaßes legte.
Ida trifft mit 240 kmh auf US-Küste Zum Video Artikel Video.
Eta Could Become Category 5 Hurricane Before Landfall U S Nhc World News Us News
![]()
Hurricaneeta Openstreetmap Wiki
Hurricane Eta 2020 Nasa Applied Science

Record Warmth Reaches Msp Hurricane Eta Delivers Punishing Blow To Nicaragua Poses Risk To Florida Blog Aerisweather
Track Satellite Computer Models All Over The Place Right Before Storm Hits Florida Projection Shows

Hurricane Eta Satellite Cayman Compass

Exchanges Weather The Storm Following Tropical Storm Eta The Exchange Post
![]()
The 2020 Atlantic Hurricane Season Keeps Raging With Hurricane Eta The Verge
![]()
Hurricane Eta Simple English Wikipedia The Free Encyclopedia

Eta A Dangerous Major Hurricane As It Approaches Central America Wpde

Hurricane Eta Dangerously Strong And The Latest Track Brings It Back Into Caribbean Sea Hurricane Center Nola Com

Extremely Dangerous Hurricane Eta May Cause Catastrophe In Central America Yale Climate Connections

Sturm Eta Markiert Hurrikan Rekord Der Spiegel

Hurricane Eta To Make Major Hurricane Landfall In Nicaragua Tuesday Gc Capital Ideas

Hurricane Eta Archives Severe Weather Europe
![]()
Iota Atlantic Ocean Hurricane And Typhoon Updates

Hurricane Eta High End Category 4 Hurricane Nicaragua Landfall Today Gc Capital Ideas

