Meteorologen hatten den Hurrikan zuvor als extrem gefährlich eingestuft - er erhielt die Kategorie vier von fünf. Laut des National Hurricane Centers NHC wurde Ida am Sonntagnachmittag als extrem gefährlicher Hurricane der Kategorie vier eingestuft.

Hurricane Isaias 2020 Hypothetical Hurricanes Wiki Fandom
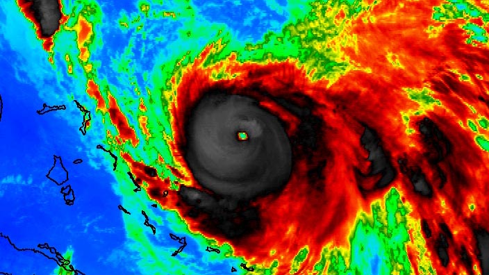
Hurrikan wird stärker.

Hurricane ida kategorie. Dies entspricht der Kategorie vier von fünf. 16 Jahre nach dem verheerenden Hurrikan Katrina wird New Orleans von einem neuen Sturm bedroht. Ida dürfte die Küste in Louisiana mit extremer Wucht treffen.
Der Hurrikan Ida bewegt sich weiterhin auf New Orleans zu. Hurrikan Ida auf Kategorie 4 hochgestuft Ankunft an US-Ostküste am Sonntagabend Über dem Golf von Mexiko wurde der Sturm zum Hurrikan der. Ida auf Kategorie vier hochgestuft Genau 16 Jahre nach dem verheerenden Hurrikan Katrina wird New Orleans von einem neuen Sturm bedroht.
Über dem warmen Golf von Mexiko hatte. Das bedeutet dass bei Ida Windgeschwindigkeiten zwischen 210. Die Experten berichteten von geschätzten Windgeschwindigkeiten von bis zu 215 Kilometern pro Stunde.
Hurrikan Ida hat in der Region um New Orleans offenbar schwere Schäden verursacht. Das Nationale Hurrikanzentrum NHC stufte Ida am späten Sonntagabend Ortszeit auf die Kategorie eins von fünf herab. Hurrikan wird stärker.
Gefährlicher Hurrikan Ida auf Kategorie drei hochgestuft. Der Tropensturm Ida ist mittlerweile zu einem Hurrikan der Kategorie Vier hochgestuft worden. Vom 30082021 0808 Uhr.
Hurrikan wird stärker. Ida auf Kategorie vier hochgestuft Erschienen am 29082021 Die Interstate 10 an der Küste von Louisiana ist voll - Hurrikan Ida naht. Experten warnen vor katastrophaler Zerstörung.
Hurrikan wird stärker. Der Wirbelsturm bringe nunmehr maximal anhaltende Windgeschwindigkeiten. Ida auf Kategorie vier hochgestuft Genau 16 Jahre nach dem verheerenden Hurrikan Katrina wird New Orleans von einem neuen Sturm bedroht.
Hurricane Ida has knocked out power in New Orleans after making landfall in Louisiana as a brutal category 4 storm slamming the coast with 150mph sustained winds. Ida sei nicht nur als extrem gefährlicher Hurrikan der Stufe vier auf Land getroffen sondern auch stundenlang ein Kategorie-4-Hurrikan geblieben. Der Sturm wütete mit Windgeschwindigkeiten.
Ida auf Kategorie vier hochgestuft 16 Jahre nach dem verheerenden Hurrikan Katrina wird New Orleans von einem neuen Sturm bedroht. Wie das NHC mitteilte habe sich der Sturm zu einem starken Hurrikan entwickelt. NEW ORLEANS dpa-AFX - Hurrikan Ida hat über dem südlichen US-Bundesstaat Louisiana weiter an.
Bislang ist der Sturm zu einem Hurrikan der Kategorie drei hochgestuft worden es sei jedoch damit zu rechnen dass Ida. Hurrikan wird stärker. Unweit von Baton Rouge wurde ein Mensch von einem Baum erschlagen.
Experten warnen vor katastrophaler Zerstörung und Überschwemmungen. Hurrikan Ida wird schwächer - nun Kategorie 1 - 30082021 30082021 - Hurrikan Ida hat über dem südlichen US-Bundesstaat Louisiana weiter an Stärke verloren. Hurrikan Ida wird schwächer - nun Kategorie 1.
Ida dürfte die US-Küste mit extremer Wucht treffen. Ida soll den Prognosen zufolge noch am Sonntag in Louisiana auf Land treffen. Ida dürfte die US-Küste mit extremer.
16 Jahre nach dem verheerenden Hurrikan Katrina wird New Orleans von einem neuen Sturm bedroht. Das wäre auf den Tag genau 16 Jahre nach der Ankunft des verheerenden Hurrikans Katrina. Vielerorts brach die Stromversorgung zusammen.
Ida auf Kategorie vier hochgestuft.

Ida Konnte Katastrophal Werden Aktuell Amerika Dw 28 08 2021

Hurricane Jerry Has Strengthened To A Category 2 Storm And Is Heading North Of The Leeward Islands Cnn

Hurrikan Ida Wird Voraussichtlich Katastrophal Der Kategorie 4 Sein Warnt Der Gouverneur Von Louisiana Inmitten Der Evakuierungsbemuhungen The Aktuelle News

2015 Sets A New Record For Category 4 And 5 Hurricanes And Typhoons The Weather Channel Articles From The Weather Channel Weather Com

Noaa Upgrades Last Year S Hurricane Michael To Category 5 Npr

Hurricane Raymond Hypothetical Hurricanes Wiki Fandom

Verheerend Monster Hurrikan Ida Nimmt Kurs Auf Us Golfkuste

Hurricane Eta Nearing Category 5 Status Live Update Youtube










